Des citoyens dénoncent une pratique fallacieuse de Mondev
Plusieurs citoyens de l’arrondissement de Villeray–Saint-Michel–Parc-Extension dénoncent les pratiques de Mondev dans le processus référendaire entourant un projet immobilier. Un employé du promoteur aurait menti aux citoyens du secteur afin de permettre au projet d’aller de l’avant.
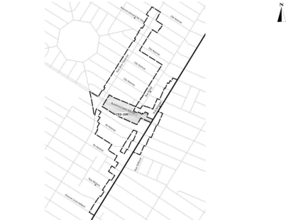
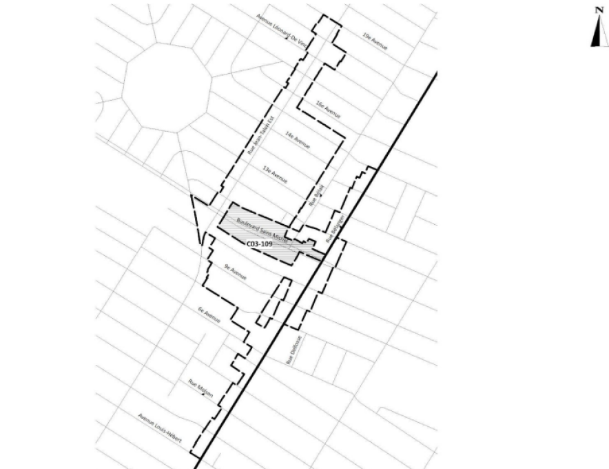
Il se serait présenté à leur porte en mentionnant être une «personne tierce» qui aurait été mandatée par la Ville et Mondev pour récolter des signatures, indiquant que cela leur permettrait de se prononcer sur le projet de construction d’un immeuble de 80 logements sur le boulevard Saint-Michel.
Le projet immobilier se trouve sur le site de l’ancien Marché Esposito. Il suscite le mécontentement de la population locale, qui souhaite qu’un service alimentaire y soit maintenu pour contrer la pénurie de commerces dans le secteur. Une pétition en ligne a même été lancée, récoltant à ce jour 566 signatures.
Plusieurs citoyens ont signé une demande de référendum pour se faire entendre et empêcher les dérogations demandées par le promoteur pour son projet.
Début novembre, des résidents des zones contiguës à celle visée par le projet de Mondev auraient été approchés par un jeune homme nommé «Jordan». Dans un enregistrement effectué par des citoyens obtenu par Métro, on l’entend se présenter à eux comme une «partie tierce», récoltant des signatures pour qu’ils puissent participer au vote référendaire.
«Je suis un third party, je ne représente personne, je suis juste une personne qui fait une tâche», peut-on l’entendre dire dans l’enregistrement. Il y explique, de manière claire, être mandaté par la Ville et le promoteur. Certains citoyens auraient vu en sa possession des cartes indiquant les zones du secteur et un cartable avec le logo de la Ville de Montréal.
«Sur le coup, j’ai perçu ça comme une arnaque, j’ai eu l’impression qu’il portait un masque et qu’il jouait le rôle d’une personne neutre, explique une citoyenne qui préfère rester anonyme. Il aurait dû se présenter comme le promoteur; dès qu’il disait qu’il représentait la Ville, les gens ont eu confiance tout de suite, ils ne comprenaient pas qu’ils faisaient face au promoteur.»
Doutant de l’approche du jeune homme et de l’implication directe de la Ville dans la collecte de signatures, certains d’entre eux auraient reconnu le partenaire junior de Mondev, Jordan Owen.
Après l’étape de demande de participation à un référendum se tient la signature d’un registre qui, si le nombre de signatures récoltées est suffisant, donnera lieu à un scrutin référendaire. Dans le cas contraire, le projet est accepté comme proposé. Lorsqu’une zone contiguë est «ouverte», le nombre de votes requis pour qu’ait lieu un référendum devient proportionnellement plus important.
Pensant que la Ville de Montréal était impliquée dans cette démarche, plusieurs résidents ont apposé leur signature, provoquant l’ouverture de leur zone dans le processus référendaire.
Les citoyens approchés dénoncent la technique utilisée par le promoteur, laquelle permet d’élargir le nombre de zones impliquées dans le processus référendaire et, ainsi, de rendre la mobilisation citoyenne plus difficile. Le promoteur pourrait ainsi éviter la tenue d’un référendum et faire adopter le projet dans sa version actuelle.
«Nous sommes au courant que certains promoteurs utilisent parfois cette stratégie», explique l’arrondissement de Villeray-Saint-Michel-Parc-Extension.
Quatre zones ouvertes
La Ville dit avoir été mise au courant de ces événements et indique n’avoir mandaté personne pour récolter les signatures des citoyens.
«Il est certain que nous ne prenons pas ces allégations à la légère, explique l’Arrondissement. N’importe qui a le droit de faire du porte-à-porte pour demander des signatures. Ce qui serait illégal, ce serait de faire de fausses représentations ou de communiquer de fausses informations aux citoyens.»

Il ajoute que des vérifications sont en cours, sans cependant se prononcer sur les potentielles conséquences qu’il pourrait y avoir.
Au total, 62 signatures valides ont été reçues par l’Arrondissement, permettant l’ouverture de trois zones, en plus de la zone visée par le projet. Pour ces quatre zones impliquées, le nombre de signatures requis lors du registre sera de 109, auxquelles s’ajoutent les personnes morales et non résidentes.
Une erreur du promoteur
Approché par Métro, Jordan Owen reconnaît avoir fait du porte à porte pour récolter des signatures. Il explique avoir fait une erreur en se présentant comme étant une personne mandatée par la Ville et le promoteur Mondev, soutenant que c’était la première fois qu’il faisait une telle démarche.
«J’ai supposé sans vraiment rien savoir que la Ville nous avait demandé [de le faire], explique Jordan Owen. J’avais l’impression que la Ville nous avait demandé de le faire, donc, c’est ce que je leur ai dit.»
Questionné sur son implication en tant que «tierce partie» dans la récolte des signatures, Jordan Owen reconnaît pourtant être employé par Mondev.
«J’avais l’impression d’être une tierce personne dans ce processus, dit-il. On ne m’a pas vraiment donné beaucoup d’informations, c’était juste un peu à la dernière minute et c’était une chose urgente.»
L’employé de Mondev indique que c’est une «erreur de communication» qui aurait mené à ces agissements. Jordan Owen ajoute qu’il était accompagné de son frère lors de la collecte de signatures.